Melissa Kasırgası, Karayipler ülkesi Jamaika’yı bugüne kadar gördüğü en güçlü rüzgar hızlarıyla vurdu. İşte diğer rekor kıran fırtınalarla karşılaştırması.
Detaylar haberimizde…
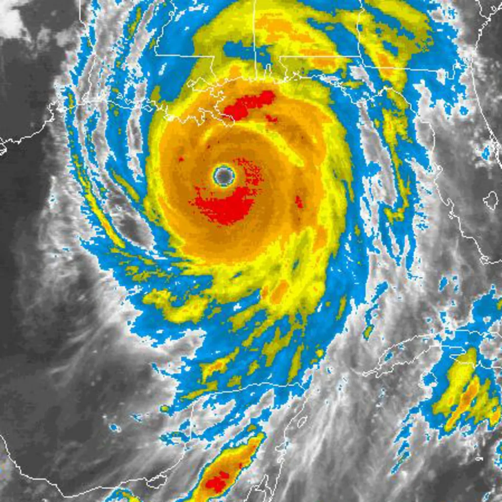
Ekim 2025’te beşinci kategorideki Melissa Kasırgası, saatte 295 km’lik rüzgar hızıyla güneybatı Jamaika’ya ulaştı ve bu da onu rüzgar hızı bakımından yılın en güçlü fırtınası ve kayıtlardaki en güçlü Atlantik fırtınalarından biri haline getirdi.
Dünya Meteoroloji Örgütü, kasırgayı Jamaika için “yüzyılın fırtınası” olarak nitelendirirken, Ulusal Kasırga Merkezi, “felaket niteliğinde ve yaşamı tehdit eden ani sellere” yol açacağı konusunda uyardı.
Burada, tarihin diğer güçlü ve yıkıcı kasırgalarından bazılarını inceliyoruz.
En Çok Can Kaybı: 1780 Büyük Kasırgası
9 Ekim 1780 gecesi, Karayipler’deki Barbados adasında ılık bir günün ardından yağmur yağmaya başladı. Ertesi sabah hafif bir esinti başladı ve saat 18:00’de adaya tüm gücüyle bir kasırga çarptı.
Büyük Kasırga olarak bilinen bu kasırga, kaydedilen en ölümcül Atlantik kasırgası olmaya devam ediyor. Ölü sayısının 20.000 ila 27.500 arasında değiştiği tahmin ediliyor.
Kasırga, muhtemelen saatte 322 km’den (200 mil/saat) fazla hızla esen rüzgarlarıyla karayı kasıp kavurdu. Barbados’tan ayrılan Büyük Kasırga, Martinik, Saint Lucia ve Sint Eustatius’u geçti. 7 metre yüksekliğe ulaşan dalgalar, köyleri tamamen denize sürükledi ve İngiliz ve Fransız donanma gemilerinden oluşan filolar, gemilerdeki binlerce insanla birlikte okyanusun dibinde kayboldu.

ABD tarihinin en ölümcül fırtınası, 1900 yılındaki Galveston kasırgasıydı. Eylül 1900 başlarında Meksika Körfezi’ni geçerek, 6 Eylül’de Teksas, Galveston’a çarpmadan önce dördüncü kategoriye yükseldi.
Hayatta kalan bir balıkçının, “O kadar çok cesetle karşılaştık ki, bir mızrakla öne çıkıp onları yolumdan çekmek zorunda kaldım.Hayatımda gördüğüm en korkunç şeydi.” dediği bildirildi. Fırtınanın 6.000 ila 8.000 arasında ölüme neden olduğu tahmin ediliyor.

Atlantik havzasının dışında, kasırga yerine siklon veya tayfun olarak bilinen daha ölümcül fırtınalar da meydana geldi. 1970’teki Bhola Siklonu, kuzeydoğu Hindistan ve o zamanlar Doğu Pakistan (günümüzde Bangladeş) olan bölgeyle çarpıştı. 10,5 metrelik (35 ft) yıkıcı bir fırtına dalgasıyla birlikte geldi. Toplamda 500.000 kadar insanın siklon nedeniyle hayatını kaybettiği düşünülüyor.

En Yıkıcı Kasırgalar: Katrina ve Mitch
Kasırgaların neden olduğu hasarı nasıl ölçtüğünüz bakış açısına bağlı. Mallarını, geçim kaynaklarını ve sevdiklerini kaybeden insanlar için, az önce üzerlerinden geçen fırtına yıkıcıydı. Ancak yalnızca yıkılan mal sayısı açısından bakıldığında, iki kasırga öne çıkıyor: Katrina ve Mitch.
Katrina Kasırgası’nın tarihin en maliyetli kasırgası olarak sıralanmasının ana nedeni, ABD’nin güneydoğusunda bıraktığı yıkımın muazzam boyutudur. Fırtınanın 217.000 ila 300.000 evi yıktığı veya yaşanmaz hale getirdiği tahmin ediliyor. Saatte 225 km hıza ulaşan rüzgar hızları güneydoğu Louisiana’ya ulaştı. Fırtına dalgası, Mississippi kıyılarında normal gelgit seviyelerinin 7,6-8,5 metre (25-28 ft), güneydoğu Louisiana kıyılarında ise 3-6,1 metre (10-20 ft) üzerine çıktı. New Orleans’ta, şiddetli dalgalar ve fırtına dalgası, şehri korumak için inşa edilen setleri yıktı.

Toplamda, şehrin yaklaşık %80’i 6 metre (20 fit) derinliğe ulaşan sel sularıyla kaplandı ve fırtınadan yayılan 59 hortum sekiz eyalette daha fazla hasara yol açtı.
Bu hasar, Katrina Kasırgası’nı ABD’yi vuran en maliyetli kasırga haline getirdi ve 2024 ABD doları enflasyona göre ayarlandığında toplam 201,3 milyar dolar (148,3 milyar sterlin) hasara yol açtı. Katrina’dan sonra en maliyetli ikinci kasırga ise Teksas ve Louisiana’ya ulaştığında 160 milyar dolar (118 milyar sterlin) hasara neden olan Harvey Kasırgası oldu.

Ancak yaklaşık yedi yıl önce, Katrina kadar büyük bir yıkıma yol açan başka bir kasırga daha yaşandı.
ABD’de Mitch Kasırgası nispeten küçük bir hasar bıraktı; Ekim 1998’de Meksika’nın Yucatán Yarımadası’ndan Meksika Körfezi’ni kasıp kavuran fırtına, Florida’da 645 evi yerle bir etti. Ancak o zamana kadar, en kötüsünü çoktan yapmıştı.

Mitch, bir hafta önce Honduras’a çarpmış, Orta Amerika’da büyük bir yıkıma yol açarken, tüm toplulukları yerle bir etmişti. Bu fırtına tam bir canavardı; beşinci kategori bir kasırgaydı ve hâlâ kayıtlardaki en şiddetli kasırgalardan biri olarak kabul ediliyordu.
Honduras’a ulaştığında birinci kategori bir kasırgaya dönüşmüştü, ancak karaya ulaştığında Honduras üzerinde asılı kalarak muazzam miktarda yağmur bıraktı. Ardından gelen sel ve toprak kaymaları, Honduras, Nikaragua, Guatemala, Belize ve El Salvador’da 10.000 ila 19.000 kişinin ölümüne yol açtı. Fırtına en az 200.000 ev yıktı veya ciddi şekilde hasar gördü. Sadece Honduras’ta 70.000 ev ve 92 köprü yıkıldı, dağ yamaçlarını süpüren çamur nehirleri tüm köyleri yuttu. BM, toplamda yarım milyondan fazla insanın evini kaybettiğini tahmin ediyor.

En Yüksek Rüzgar Hızları
En güçlü fırtınaların en çok hasara yol açan ve en çok can kaybına neden olan fırtınalar olduğunu varsaymak mazur görülebilir. Ancak durum her zaman böyle değil.
Patricia Kasırgası, 2015 kasırga sezonunun 24. fırtınasıydı ve Meksika’nın güney kıyılarındaki Tehuantepec Körfezi yakınlarında oluştu. Elverişli koşullar, kasırgayı sadece 24 saat içinde tropikal bir fırtınadan beşinci kategori bir kasırgaya dönüştürdü.
23 Ekim’de, Patricia’nın 10 saniyeden uzun süren en yüksek rüzgar hızı, uçuş halindeki bir uçaktan ölçüldüğünde 221 mil/saat (356 km/saat) idi (yer seviyesinde 210 mil/saat veya 338 km/saat hız ölçüldü). Bu, Batı Yarımküre’de kaydedilen en yüksek hızdı ve kaydedilen en güçlü fırtınalardan biri olan 1961’deki Nancy Tayfunu kadar şiddetliydi.

Patricia’nın yolu, Meksika’nın nispeten ıssız bölgelerinden geçerek büyük şehirleri ıskaladı ve bu da ölüm sayısını sınırladı. Meksika kıyılarına çarptıktan sonra önemli ölçüde zayıfladı, ancak kaydedilen rüzgar hızları saatte 265 kilometreye (165 mil) ulaştı. Meksika’nın dağlık arazisinin etkisi Patricia’yı daha da zayıflattı ve 24 Ekim’e kadar neredeyse sıfıra indi.
Şiddetli olmasına rağmen, Patricia’nın ölüm sayısı şaşırtıcı derecede düşüktü – ABD Ulusal Okyanus ve Atmosfer İdaresi’ne göre, fırtına sonucu yalnızca iki kişi doğrudan hayatını kaybetti, dört kişi de dolaylı olarak öldü.
Hızlı Yoğunlaşma
Bu hafta, Erin Kasırgası, 2025’in Atlantik’teki ilk kasırgası oldu ve ABD anakarasını sıyırıp geçerek hava tahmincilerini sörfçülere ters akıntılar konusunda uyarılarda bulunmaya yöneltti. Sezonun bu kadar erken bir döneminde kaydedilen en hızlı şiddetlenen kasırgalardan biri olduğu düşünülüyor. En şiddetli fırtınalar genellikle yılın ilerleyen dönemlerinde, 1 Eylül’den sonra meydana geliyor. Erin, 24 saatten biraz fazla bir sürede birinci kategori kasırgadan beşinci kategoriye geçti ve ardından tekrar zayıflayarak ikinci kategoriye düştü.
ABD Ulusal Hava Durumu Servisi’ne göre, hızlı şiddetlenme, tropikal bir siklonun 24 saatlik bir süre içinde en az 30 knot (35 mil/saat) hızındaki sürekli maksimum rüzgarlarının artması anlamına geliyor. Bu tür hızla şiddetlenen kasırgalar, insanların hazırlık yapmak için daha az zamanı olduğu için özellikle tehlikeli olabilir.

Erin, son yıllarda hızla şiddetlenen tek fırtına değil. 2024’te Milton Kasırgası, tropikal bir depresyondan beşinci kategori bir kasırgaya şiddetlenen en hızlı Atlantik fırtınası oldu.
Aynı yıl Beryl Kasırgası, Haziran veya Temmuz başında tropikal bir depresyondan kasırgaya şiddetlenen en hızlı Atlantik fırtınası rekorunu kırdı. 2023’te ise Lee ve Jova Kasırgaları, özellikle de normalde Atlantik’teki kasırga aktivitesini baskılayan bir El Niño sırasında meydana geldikleri düşünüldüğünde, ani şiddetlenmeleriyle bilim insanlarını şaşkına çevirdi.
Elbette kasırgalar her zaman farklı hızlarda şiddetlendi. 2007’de Felix ve 2005’te Wilma olmak üzere iki Atlantik kasırgası da özellikle hızlı şiddetlenmeleriyle dikkat çekiyor. Ancak araştırmalar, küresel ısınma nedeniyle son yıllarda genel şiddetlenme oranlarının önemli ölçüde arttığını ve bu eğilimin devam edeceğini gösteriyor.
Her şey, bu fırtınaların iklim değişikliği nedeniyle geçtiği daha sıcak deniz yüzeylerinden kaynaklanıyor. Örneğin Erin, iklim değişikliği nedeniyle ortalama 1,1C daha sıcak olan suların üzerinden geçti.
Derleyen: Damla Şayan


